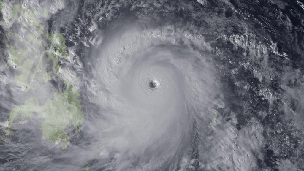
El 'supertifón Haiyan', uno de los más potentes de la historia, arrasa Filipinas

El 'supertifón Haiyan' toca tierra en Filipinas
NOTICIAS CUATRO/AGENCIAS
Compartir

El portavoz del Consejo Nacional para la Reducción y Gestión del Riesgo de Desastres (NDRRMC), Rey Balido, dos personas, una de ellas de 15 años, han muerto electrocutadas en Masbate y Surigao del Sur. La tercera víctima mortal hasta el momento resultó alcanzada por un rayo en la ciudad de Zamboanga.

No obstante, según informa la cadena ABS-CBN, las autoridades temen que el balance aumente, ya que por ahora no se puede evaluar el alcance de los efectos del tifón.

Entretanto, la oficina meteorológica estatal, PAGASA, ha informado de que 'Haiyan' sigue atravesando el país y se aproximará a Manila, la capital, esta tarde (hora local). Su alcalde, Joseph Estrada, ha ordenado suspender las clases desde este mediodía.

El administrador de PAGASA, Vicente Malano, ha advertido de intensas precipitaciones en la capital, que ya ha está experimentando desde hace unas horas los efectos de 'Haiyan', pero ha aclarado que "no serán concentradas porque el tifón se mueve con rapidez".

Tras golpear las inmediaciones de la capital, 'Haiyan' alcanzará Busuanga y Palawan en su avance hacia el mar de Filipinas Occidental, por donde se espera que abandone tierra hacia las 9:00 horas del sábado.

Después de tocar tierra en Guiuan, Samar Orienta, a las 4:40 horas, el tifón ha vuelto a tocar tierra en Tolosa, Leyte, a las 7:00 horas. Posteriormente, ha tocado tierra por tercera vez a las 9:40 horas en Daanbantayan, Cebu, y por cuarta en la isla de Bantayan, Cebu, a las 10:40.

A su paso, 'Haiyan' ha afectado la estructura de casas y edificios, ha derribado árboles y postes eléctricos. El 'supertifón' también se ha dejado sentir en la región de Bisayas Central, donde aún no se han recuperado de los efectos del terremoto de 7,2 de magnitud que el mes pasado dejó casi 200 muertos.

El potente tifón 'Yolanda' llega a Filipinas